REF#PLV-101299 / Парцел в регулация / с. Марково / Пловдивска област / България / Продажба На картата
Тип имот
Парцел в регулация
(Парцел за инвестиция)
Местоположение
Марково / България
Обща площ
7052 м²
Цена 423 120 € (без ДДС)
827 551 лв. (без ДДС)
60 €/м² (без ДДС)
117 лв./м² (без ДДС)
Всички разходи по сделката за сметка на купувача
Запитване за повече информация или оглед
Мария Венкина
Тийм лидер / Офис Пловдив
Тийм лидер / Офис Пловдив
Инфо пакет
Разстояния
Разстояния от имота до други важни обекти
- Летище : 18.6 км
Гледки от имота
- Гледка към града
- Гледка към планината
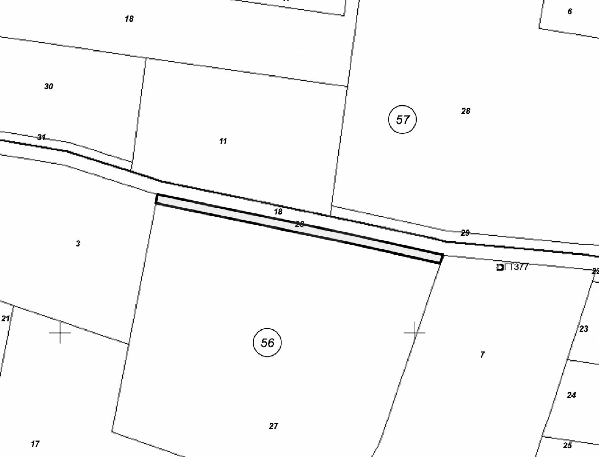
Представяме урегулиран позмлен имот в землището на с. Марково, ситуиран в непосредствена близост до язовира на селото и град Пловдив.
Имотът в с площ от 7052 кв.м, от които 205 кв.м са отредени за път. Предвижда се ниско застрояване - до 10 м.
Има възможност за закупуването и на два съседни имота (УПИ).
Марково се обособи като предпочитан район за живеене. Гледката към града и планината, удобството на простора, чистият въздух и усещането за свобода са водещи при избора на живот извън града.
За повече информация, моля свържете се с нас.
Имотът в с площ от 7052 кв.м, от които 205 кв.м са отредени за път. Предвижда се ниско застрояване - до 10 м.
Има възможност за закупуването и на два съседни имота (УПИ).
Марково се обособи като предпочитан район за живеене. Гледката към града и планината, удобството на простора, чистият въздух и усещането за свобода са водещи при избора на живот извън града.
За повече информация, моля свържете се с нас.
Виж текста на други езици (автоматичен превод)
Местоположение
Нашите топ оферти за продажба в Марково, България

